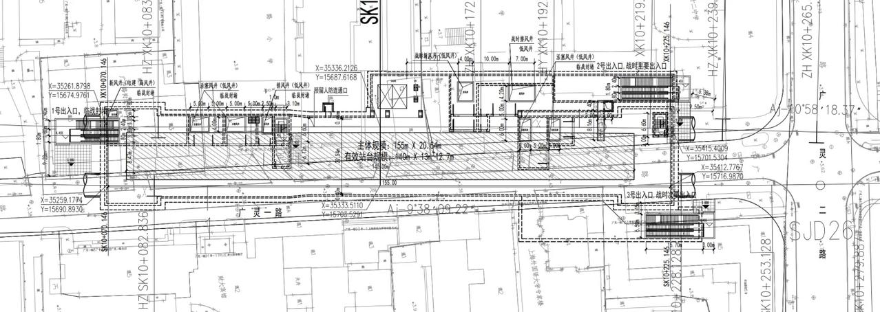
广灵二路地铁规划 规划设计上海上海citywalk动迁征收地铁隧道

城筑通衢 2025-11-21 15:50:21

广灵二路地铁规划 规划设计 上海 上海citywalk 动迁 征收 地铁 隧道 轨道交通 交通

0 阅读:0
城筑通衢

城筑通衢

感谢大家的关注